আন্তর্জাতিক
গরুর নাম ‘যুবরাজ’ দাম ৭ কোটি রুপি
আন্তর্জাতিক
বর্তমান সরকার সম্পর্কে যুক্তরাজ্যের সর্বশেষ মূল্যায়ন।।‘৫ জানুয়ারির নির্বাচন হতাশাজনক’
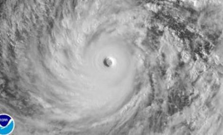
আন্তর্জাতিক
জাপানে আঘাত হেনেছে টাইফুন ভংফং
আন্তর্জাতিক
বিশ্বে মোবাইল ফোন ব্যাংকিং’এ বাংলাদেশই শ্রেষ্ঠ : বিলগেটস
আন্তর্জাতিক
মেয়েরা, তোমরা জিন্স পোরো না!
আন্তর্জাতিক
ইসলাম গ্রহণ করেছেন বেলজিয়ামের বিউটি কুইন
আন্তর্জাতিক
‘আলজাজিরা’ ও ‘আরব নিউজে’ মুরতাদ লতিফ সিদ্দিকী - আরব বিশ্বে প্রতিবাদের ঝড়
