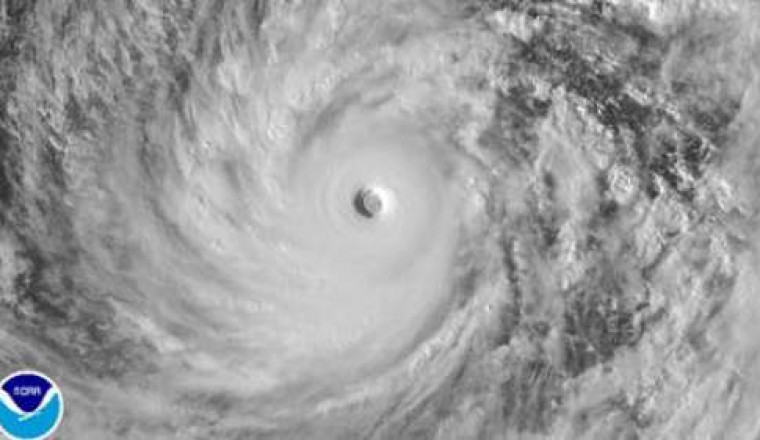
জাপানে সোমবার সকালে আঘাত হেনেছে শক্তিশালী টাইফুন ভংফং। এতে এখন পর্যন্ত একজন নিখোঁজ ও বেশ কয়েকজন আহত হওয়ার খবর পাওয়া গেছে। টাইফুনের কারণে ৩ শতাধিক ফ্লাইট বাতিল করা হয়েছে।
জাপানের আবহাওয়া সংস্থা জানায়, সোমবার স্থানীয় সময় সকাল সাড়ে ৮টায় জাপানের দক্ষিণাঞ্চলের প্রধান দ্বীপ কাইসুর মাকুরাজাকিতে টাইফুন ভংফং আঘাত হানে। এর প্রভাবে ঘণ্টায় কমপক্ষে ১শ’ ৮০ কিলোমিটার বেগে ঝড় তীরে আছড়ে পড়ছে।
এটি ঘণ্টায় ৩০ কিলোমিটার বেগে জাপান দ্বীপপুঞ্জের মধ্য দিয়ে উত্তর-পূর্বাঞ্চলের দিকে অগ্রসর হচ্ছে। সোমবার সন্ধ্যা বা মঙ্গলবার ভোর নাগাদ এটি কান্টো অঞ্চলে অবস্থান করতে পারে বলে আবহাওয়ার পূর্বাভাসে বলা হয়েছে।
টেলিভিশন ফুটেজে দেখা যায়, মাকুরাজাকিতে একটি বাড়ির ছাদ ও দেয়াল ভেঙে পড়েছে এবং বিশাল বিশাল ঢেউ তীরে আছড়ে পড়ছে।
মাকুরাজাকির দুর্যোগ প্রতিরোধ কার্যালয়ের কর্মকর্তা নাওকি জোমোরি বলেন, স্থানীয় বাসিন্দাদের সতর্ক থাকতে অনুরোধ জানানো হয়েছে।
এনএইচকে টেলিভিশনের খবরে বলা হয়েছে, টাইফুন সংশ্লিষ্ট দুর্ঘটনায় এ পর্যন্ত কমপক্ষে ৪৫ জন আহত হয়েছে।
জাপানের কেন্দ্রস্থলের শিঝৌকা এলাকায় রোববার বিকেলে মাছ ধরার সময় তিন ব্যক্তি ঢেউয়ের তোড়ে ভেসে যায়। এর মধ্যে দুই জনকে অক্ষত উদ্ধার করা হয়েছে। তবে এখনও একজন নিখোঁজ রয়েছে বলে স্থানীয় পুলিশ জানিয়েছে।
আবহাওয়া সংস্থা দ্বীপপুঞ্জের বিস্তীর্ণ এলাকাজুড়ে বিশাল ঢেউ, ব্যাপক বৃষ্টিপাত, বন্যা ও ভূমিধসের সতর্কবানী করেছে।
জাপানের বিমান সংস্থা কমপক্ষে ৩শ’ ৭২ ফাইট বাতিল করেছে। এদিকে পশ্চিম জাপান রেলওয়ে জানিয়েছে, দিনের শেষদিকে কানসাই অঞ্চল ও জাপানের পশ্চিমাঞ্চলে সব লোকাল সার্ভিস স্থগিতের পরিকল্পনা রয়েছে।
উল্লেখ্য, মাত্র এক সপ্তাহ আগেও দেশটিতে একটি গ্রীষ্মমন্ডলীয় ঝড় আঘাত হেনেছিল। এতে ১১ জনের প্রাণহানি বা নিখোঁজ হয়।
এছাড়া দ্ইু সপ্তাহ আগে জাপানের মাউন্ট ওনতাকে আগ্নেয়গিরির অগ্ন্যুৎপাতের ঘটনায় কমপক্ষে ৫৫ জনের প্রাণহানি ঘটে।
সম্পর্কিত সংবাদ
শাহজাদপুর
মিষ্টান্ননগরী সিরাজগঞ্জের শাহজাদপুর
শাহজাদপুরে ছোট-বড় অনেক জমিদার ছিল। বিভিন্ন উৎসব-পূজা-পার্বণে তারা প্রজাদের নিমন্ত্রণ করে পেটপুরে মিষ্টি খাওয়াতেন। তারা ব...
বন্যা
শাহজাদপুরে যমুনার তীব্র ভাঙ্গনে ভিটেমাটি হারাচ্ছে মানুষ
শাহজাদপুর সংবাদ ডটকম, শামছুর রহমান শিশির, শুক্রবার, ১২ সেপ্টেম্বর - ২০১৮ খ্রিষ্টাব্দ : বন্...
জাতীয়
শাহজাদপুরে যথাযথ মর্যাদায় উপজেলা প্রশাসনের বিজয় দিবস পালিত
নিজস্ব প্রতিনিধিঃ শাহজাদপুরে যথাযথ মর্যাদায় বিজয় দিবস পালিত হয়েছে। বিজয় দিবস উপলক্ষে শাহজাদপুর উপজেলা প্রশাসন নানা অনুষ...
সিরাজগঞ্জে বন্যা পরিস্থিতির আরো অবনতিঃ পানি বিপদ সীমার ৪১ সেঃ মিঃ উপরে
আজ বৃহস্পতিবার (২৮ মে) দেশের শিল্প ভুবনের পথিকৃৎ শিল্পাচার্য জয়নুল আবেদিনের ৪৪তম মৃত্যুবার্ষিকী ছিল।
১৯৭৬ সালে ২৮ মে ক্... শামছুর রহমান শিশির : বাংলা সাহিত্য অঙ্গনে কবিগুরু রবীন্দ্রনাথ ঠাকুরের কালজয়ী ছোট গল্প ‘পোষ্ট মাস্টার’-এর রতন চরিত্রটি শা...
শিল্প ও সাহিত্য
শিল্পাচার্য জয়নুল আবেদিনের ৪৪তম মৃত্যুবার্ষিকী পালিত
জীবনজাপন
শাহজাদপুরের আদিবাসী বাগদী পরিবারগুলোর মানবেতর জীবন
